Kommuneplanramme
Området er delvist omfattet af kommuneplanramme LT 2.1, der fastlægger anvendelsen til offentlig og privat service såsom et teknisk anlæg herunder slammineraliseringsanlæg. Videre hedder det, at området skal friholdes for bebyggelse udover et mindre mandskabshus og de for driften nødvendige tekniske anlæg og tanke.
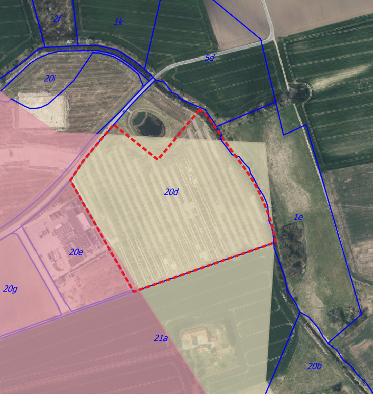
Med kommuneplantillægget ændres anvendelsesbestemmelsen til teknisk anlæg, solcellemark og regnvandsbassin. Samtidigt udvides rammeområdet LT 2.1 mod øst frem til Sillebro Å.
Skovrejsning
Skovrejsning er uønsket i henhold til kommuneplan 2021-2033. Projektet indebærer ikke plantning af skov.
Landskabskarakter
Solcellemarken vil få betydning for oplevelsen af landskabet, men krav til udformning, maksimal glansværdi og beplantningsbælte vil afbøde anlæggets visuelle påvirkning af området.
Konsekvensområde for tekniske anlæg
Rammeområdet ligger indenfor et konsekvensområde for tekniske anlæg. Konsekvenszonen har ikke betydning, da solcellemarken i sig selv er et tekniske anlæg.
Vedtagelse
Med vedtagelsen af kommuneplantillæg 019 bliver Lokalplan 170 i overensstemmelse med gældende kommuneplan.
Planloven
Planområdet ligger i en afstand på ca. 3.5 km til Roskilde Fjord og ligger derfor udenfor kystnærhedszonen. Der vil ikke være en visuelle påvirkning af kystlandskabet.
Anden lovgivning
Frederikssund kommune er omfattet af Fingerplanen 2019, som sætter de overordnede rammer for fysisk planlægning i hovedstadsområdet. Fingerplanen fastlægger bl.a., hvor der må bygges nye boliger og erhverv, og hvor der skal være større grønne områder med plads til natur og friluftsliv.
Fingerplanen opdeler hovedstadsområdet i fire geografiske områder: det indre storbyområde, det ydre storbyområde, de grønne kiler og det øvrige hovedstadsområde. Det indre storbyområde findes ikke i Frederikssund Kommune.
Solcellemarken bliver placeret indenfor det ydre storbyområde (landzone), hvor der kan ske byudvikling. Med etableringen af solcellemarken vil der ske en ændring af området, men området forbliver i landzone og arealanvendelsen er ekstensiv. Anvendelse vurderes på det grundlag at være i overensstemmelse med Fingerplanen.
Fingerplanens afgrænsning af det ydre storby i landzone er markeret med gult. Grænsen for kommuneplantillæg LT 2.1 er markeret med stiplet rød linje. Rammeområdet rækker med andre ord udover grænsen for det ydre storby område, men solcellerne placeres indenfor området.
Frederikssund Kommune skal sikre, at det ansøgte i sig selv, eller i forbindelse med andre planer og projekter, ikke påvirker et Natura 2000-område væsentligt, jævnfør bekendtgørelse nr. 1383 af 26. november 2016 om administration af planloven i forbindelse med internationale naturbeskyttelsesområder samt beskyttelse af visse arter.
Lokalplanområdet ligger ca. 3 km fra det nærmeste Natura 2000 område, og solcellemarken vil derfor ikke medføre nogen påvirkning af området.
Der er fastsat krav om etablering af et 10 m bredt beplantningsbælte for den del lokalplanområdet, der grænser op til Novafos´s regnvandsbassin. Desuden er der fastsat krav om etablering af et beplantningsbælte på 25 m langs Sillebro Å. Beplantningen skal bestå af træer og buske i varierede højder og arter. Afstandskravene og beplantningen vil give gode betingelser for flora og fauna i zonen omkring solcellemarken.
Området er dækket af spildevandsplanens tillæg ”Vinge Erhverv, seperatkloakering og udvidelse af opland 920”. Det er afklaret med Novafos at tillægget er afgrænset så vandoplandet for bassin 920-1 ikke indbefatter matrikel 20d Oppe Sundby By, Oppe Sundby. Der kan altså ikke afledes spildevand til kloak. I tilfælde af, at der ønskes en løsning for håndtering af regnvand, skal der søges om tilladelse.
Overfladevand fra solceller, stier og veje, tekniske bygninger samt terræn skal håndteres på egen matrikel. Og det skal sikres, eventuelt ved terrænregulering, at der ikke sker afstrømning af vand på terræn til Novafos’ bassin/matrikel.
Der vil blive en mindre afstrømning til Sillebro Å. Regnen vil strømme fra solcellernes 11 m bredde saddeltage og ned i de 2 m bredde adskillelser mellem panelrækkerne. Ved store regnskyl vil det være store mængder vand, der koncentreres og strømmer på terræn.
Panelernes nord- sydgående længderetning indebærer, sammenholdt med terrænets vest- østgående hældningsretning, at regnvandet vil komme til at strømme på tværs ind under panelerne. Nedsivning vil dermed fortsat ske på hele arealet. Tilstrømningen til åen forventes at blive meget begrænset.
Planområdet ligger inden for et område med særlige drikkevandsinteresser (OSD). Området er udpeget som nitratfølsomt indvindingsområde. Det vurderes, at solcellemarken ikke vil medføre påvirkning eller en øget risiko for grundvandet.
Solpanelerne er overfladeforseglede og afgiver i sig selv ikke farlige stoffer, når der sker en afstrømning i forbindelse med regnvejr.
Frederikssund Kommune har i april 2022 og 2023 undersøgt regnvandsbassinet for ynglende bilag IV arter. Der blev ikke konstateret æg eller voksne individer af spidssnudet frø eller stor vandsalamander. Der blev fundet skrubtudser og fisk i bassinet, men regnvandsbassinet er ikke yngleområde for de bilag IV-arter, der betegnes som padder. Hvis disse arter med tiden flytter ind i bassinet, vil solpaneler på naboarealet ikke blive en forhindring for den udvikling.
Skrænterne langs Sillebro Å er så tilgroede, at de ikke er egnede som levested for markfirben. Skrænterne vil ikke blive påvirket af solcellemarken.
Det findes ikke bygninger eller store træer på området. som kan være hjemsteder for flagermus. Sillebro Å fungerer som en ledelinje for flagermus. Og det kan ikke afvises, at der kan være ynglelokaliteter for flagermus i bevoksningen langs med åen. Men solpanelerne vil ikke påvirke området langs åen og dermed ikke den økologiske funktionalitet for flagermus.
Solpanelerne placeres på stativer, så de er hævede over terræn. Flora og fauna har derfor fri passage i området. Desuden ligger arealet i dag som braklagt landsbrugsjord, som ikke udgør et særligt levested for plante- eller dyrearter. Endelig indebærer lokalplanens bonusbestemmelse, at solpanelerne skal fjernes, når brugen af anlægget ophører.
Åbrinkerne og de nære arealer langs Sillebro Å er en del af Grønt Danmarkskort og udpeget som en potentiel økologisk forbindelse. Arealudpegningen følger åens brinker og de tilgrænsende arealer.
Områder, der indgår i Grønt Danmarkskort, skal så vidt muligt friholdes for bygninger og anlæg. Det bemærkes, at solcellemarken placeres udenfor området for den økologiske forbindelse.
Frederikssund Kommune vurderer samlet set, at solcellemarken ikke vil medføre en væsentlig påvirkning af internationale beskyttelsesområder, beskyttede arter eller på anden måde beskadige naturen i området.
Det er muligt at have dyrehold på området. Der kan f.eks. holdes får på arealet. Og får kan bidrage til at holde vegetationen nede samtidigt med, at de vil bidrage til biodiversiteten.
I tilfælde af, at der i forbindelse med jordarbejder, f.eks. ved bygge- og anlægsarbejder, dukker spor af fortidsminder op, skal arbejdet standses, i det omfang det berører fortidsmindet - jf. museumslovens § 27. Fundet skal straks anmeldes til Roskilde Museum, ROMU.
